Les îles du Nord, la Guadeloupe et la Martinique ont été placées en vigilance orange pour fortes pluies et orages à l'approche de la tempête tropicale Jerry, tandis que les écoles resteront fermées vendredi à Saint-Martin et Saint-Barthélemy, où l'aéroport est également fermé, en raison d'importantes précipitations.
MISE À JOUR, vendredi 10 octobre, 10h55 : Fermeture des écoles en Guadeloupe
« Au regard du passage en vigilance rouge pour fortes pluies et orages à 03h05 et du maintien en vigilance orange pour vagues-submersion et vents violents et dans la mesure où ce phénomène devrait perdurer jusqu’en milieu de matinée », le préfet de Guadeloupe a annoncé « de la fermeture de tous les établissements scolaires du territoire ce vendredi 10 octobre ».
Ce niveau d'alerte a entraîné en Guadeloupe la mise en place dès 17h (23h à Paris) jeudi du centre opérationnel départemental, a annoncé la préfecture dans un communiqué, en raison de « très fortes précipitations (...) attendues dans la nuit de jeudi à vendredi, dont l'intensification perdurera dans la matinée ».
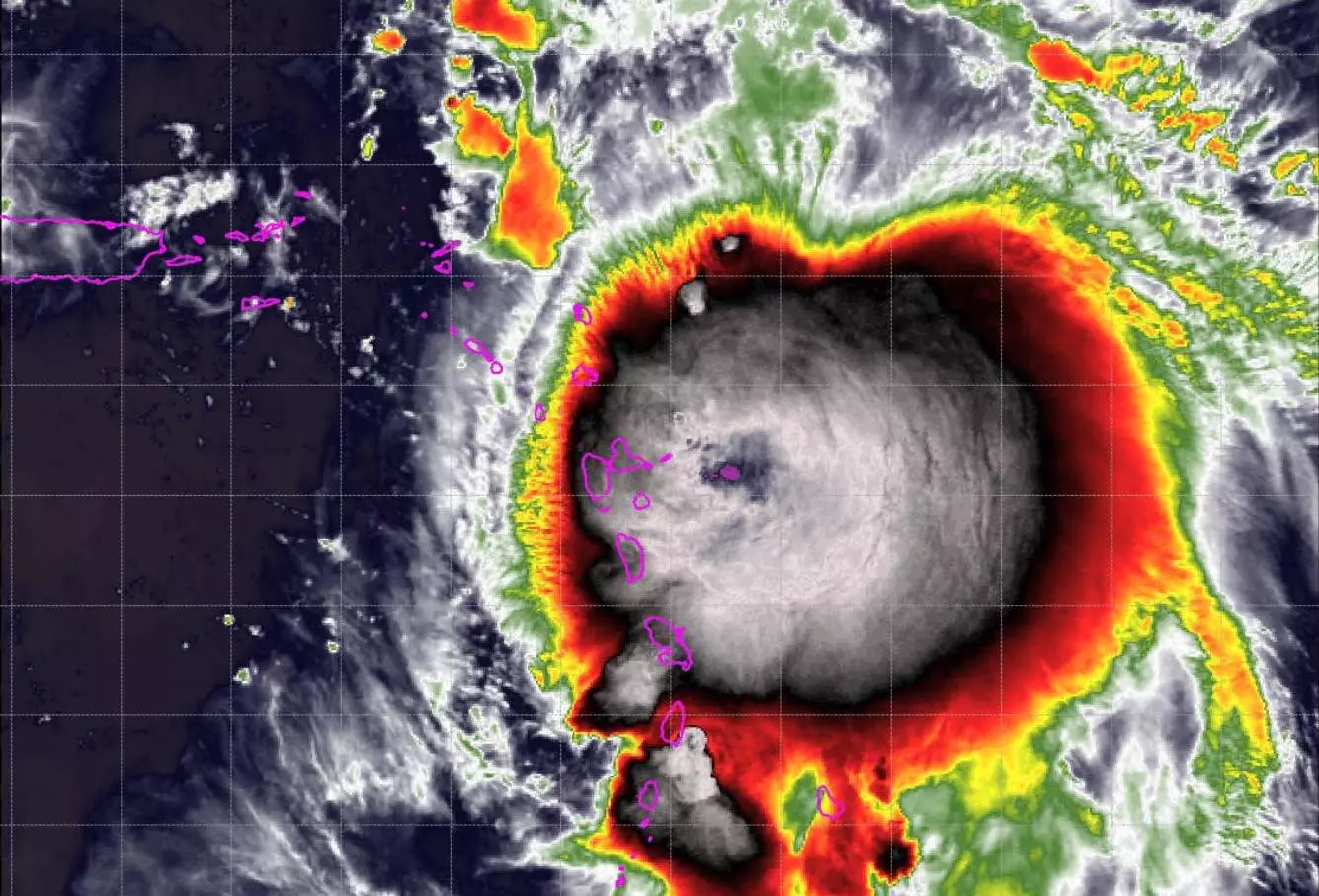
Selon le dernier bulletin émis à 23h30 (5h30 vendredi à Paris) par Météo-France Guadeloupe, « le centre de la tempête tropicale se situe à environ 170 km au nord et s'éloigne de la Guadeloupe, mais sa zone de fortes pluies passe au plus près de notre archipel ».
Les cumuls « peuvent atteindre les 100 à 150 mm, localement 200 mm sur le relief », indique le service météorologique, qui précise qu'une « nette amélioration est attendue vendredi vers la mi-journée ». D'ici là, les averses auront « un caractère plus continu sur l'est de l'archipel (Désirade et est de la Grande-Terre) ».
L'alerte orange vagues-submersion et vents violents est également déclenchée en Guadeloupe. « La houle est en voie d'atténuation » mais « des submersions localisées sont à prévoir sur les côtes exposées », indique Météo-France.
La Martinique a été placée en vigilance orange pour fortes pluies et orages. Des cumuls de pluie « pouvant atteindre 100 à 120 mm, localement 150 mm » sont attendus, selon Météo-France. « La mer est forte avec des creux moyens proches de trois mètres. Les plus hautes vagues pourront atteindre 4m à 4m50 », ajoute l'organisme.
Les îles de Saint-Martin et Saint-Barthélemy, plus au nord, sont restées en vigilance jaune mais la préfecture a pris la décision de fermer les écoles vendredi, quand le pic des précipitations passera sur les îles.
« Les précipitations les plus fortes à l'arrière du système viendront impacter Saint-Martin et Saint-Barthélemy dès la fin de la matinée », a indiqué dans un communiqué la préfecture des deux territoires, qui ajoute « avoir pris la décision de fermer l'ensemble des établissements scolaires sur les deux territoires pour la journée du vendredi ». L’aéroport de Saint-Barthélemy a également fermé ses portes dès ce jeudi à 18h (locale).
Les estimations prévoyaient que la tempête tropicale Jerry passe plus au large mais elle a dévié de 60 km à l'ouest dans la journée de jeudi. Après son passage à proximité de l'arc antillais, elle doit poursuivre vers l'Atlantique nord où elle pourrait se renforcer pour devenir un ouragan de catégorie 1.
Avec AFP























